family CERAMBYCIDAE Latreille, 1802
subfamily LEPTURINAE Latereille, 1802
tribe Lepturini Latreille, 1802
genus Strangalia Dejean, 1835
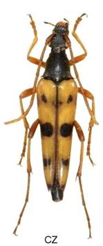
Strangalia attenuata (Linnaeus, 1758)



 
 
 
 


Bionomie. Larvy jsem nacházel v povrchové bělové vrstvě odumřelého dřeva pařízků, které dosud bylo v poměrně kompaktním stavu. Průměr pařízků byl 15 – 20 cm. Kuklí se v komůrkách mělce pod povrchem dřeva. Přezimuje v larválním stadiu. Doba vývoje asi dvouletá. - Imaga se vyskytují v VI. – VIII. na květech Apiaceae, Rosa aj.
Živné rostliny- Tilia; Populus tremula; Betula, Quercus, Pinus; Alnus.